APPARTAMENTO VIA URBANO IV N. 58 – LARIANO
- €109.125
- €109.125
Panoramica
- Appartamento
- 22/04/2026
- 65
Descrizione
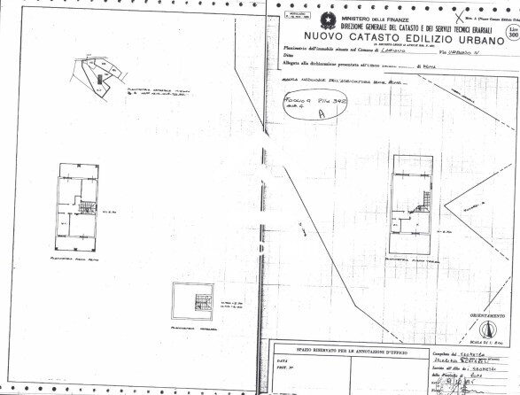
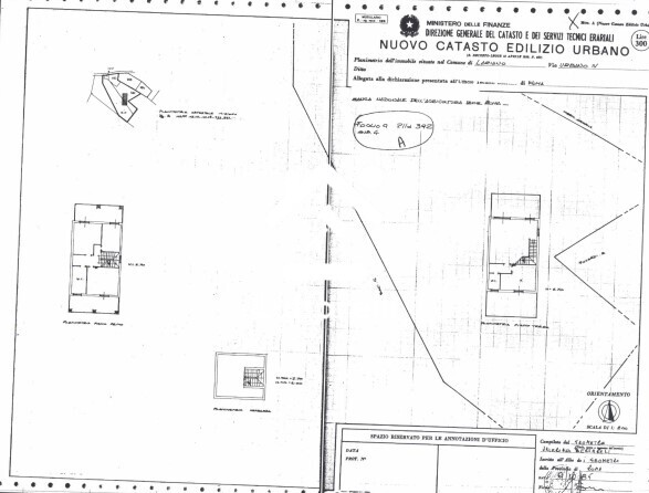
Unità immobiliare per civile abitazione composta al piano terra da soggiorno pranzo, avente anche funzione d’accesso all’abitazione, angolo cottura, disimpegno e corridoio, un bagno, una piccola stanza senza finestra, una stanza da letto, portico e portico e/o pianerottolo coperto dal terrazzo del piano primo sovrastante posto sul retro dell’abitazione, superficie utile abitabile mq. 65,00, portico e pianerottolo coperto mq. 42,40 circa. piano primo composto da ampio soggiorno pranzo con due terrazzi coperti, un angolo cottura, un disimpegno, un bagno e una cameretta. piano secondo mansardato composto da una stanza matrimoniale con piccolo bagno e zona ad armadio a giorno per una superficie utile abitabile piano primo e piano secondo mansardato di circa mq. 97,00, i due terrazzi superficie di mq. 36,20 circa.
DATA ASTA 22 aprile 2026
OFFERTA MINIMA € 109,125.00
Indirizzo
Apri su Google Maps-
Indirizzo: Via Urbano Iv 58, Lariano, Lazio, 00076
-
Provincia: Roma
-
Regione: Lazio
-
CAP: 00076
-
Nazione: Italy
Dettagli
Updated on Marzo 3, 2026 at 11:11 pm-
ID Immobile 172325
-
Prezzo €109.125
-
Superficie 65 m²
-
Locali 4
-
Tipologia Appartamento
-
Contratto Asta
-
Data asta 22/04/2026
-
Superficie commerciale 65
Calcolo mutuo
-
Acconto
-
Importo totale del prestito
-
Rata mensile stimata
-
Assicurazione


